
Está em vigor em todo o Estado de Mato Grosso o período do vazio sanitário estabelecido para a cultura do algodoeiro, conforme a Instrução Normativa nº 001/2016, do Instituto de Defesa Agropecuária do Estado de Mato Grosso (Indea) e a Secretaria de Estado de Desenvolvimento Econômico (Sedec).
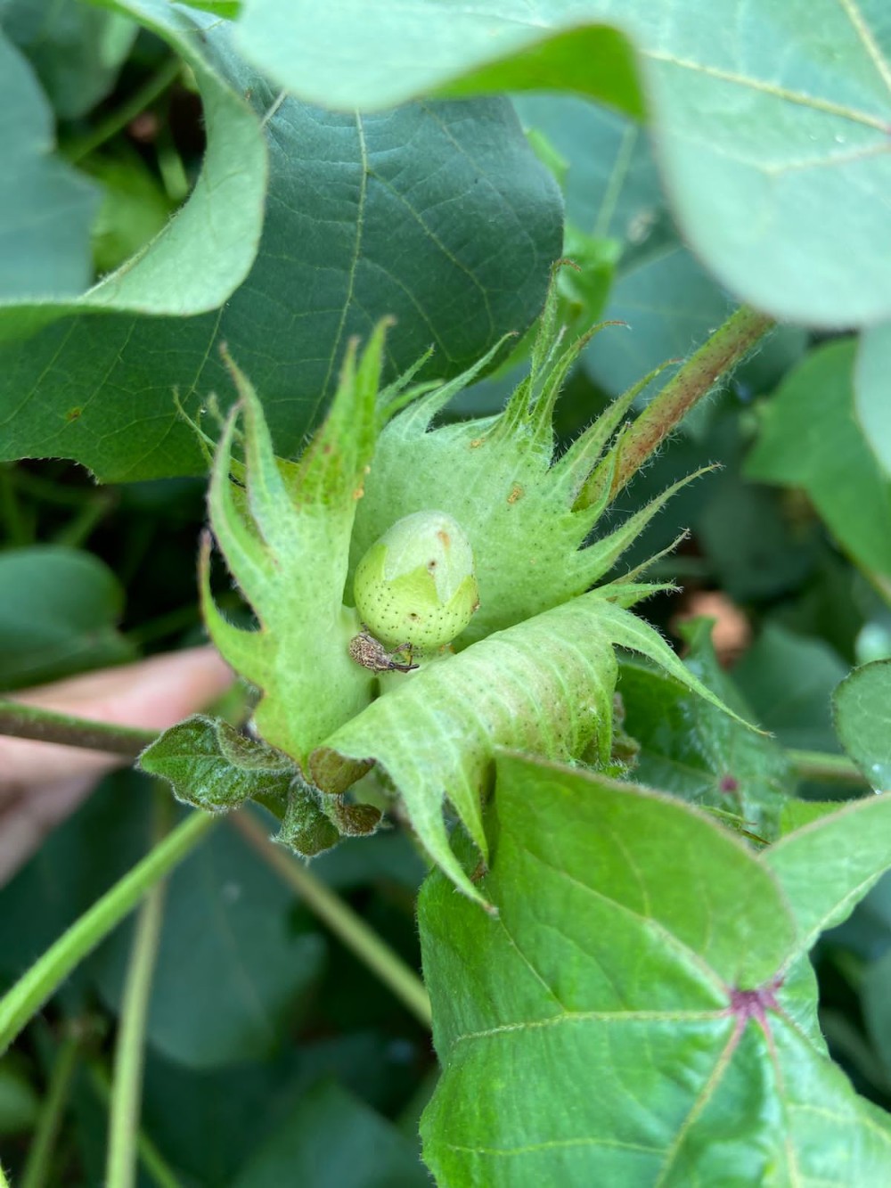
O período é considerado um dos mais importantes para o combate a praga bicudo do algodoeiro e também ao surgimento de plantas hospedeiras. Conforme o diretor de pesquisa da Fundação de Pesquisa e Desenvolvimento Tecnológico Rio Verde, Fábio Kempim Pittelkow, é necessário esse cuidado com a lavoura, para que haja a quebra do ciclo de vida desse inseto e, consequentemente, de demais pragas que tem o algodão como hospedeiro.
“O vazio é uma ferramenta que contribui muito para o manejo do bicudo em todo o Mato Grosso e já é uma ação adotada há algum tempo. O período busca combater as plantas consideradas de risco fitossanitária, ou seja, plantas que já possuem flores ou estrutura reprodutiva e que servem como alimento para o inseto. Por isso, após a colheita é necessário a realização de manejo para a destruição de soqueiras e fazer o monitoramento após o plantio da soja para não haja o surgimento de tigueras de algodão e que elas nasçam em meio a cultura da soja, e consequentemente tragam prejuízo a plantação” explica.
Para aplicação dessa medida fitossanitária o Estado foi dividido em duas grandes regiões: a região I, que vai do Sul até o Vale do Araguaia, teve início do vazio sanitário no dia 01 de outubro e segue até o dia 30 de novembro; já a região II, que são o Norte e Oeste, a medida foi estabelecida entre o período de 15 de outubro até 14 de dezembro.
Fábio destaca sobre a segurança que o produtor tem em respeitar esse período e também em realizar os manejos que são orientados.
“Temos as fiscalizações e orientações do Indea, mas a maioria dos produtores está consciente sobre a importância desse período, principalmente pela segurança e a garantia de sucesso da safra subsequente que será plantada” afirma o pesquisador.
A FUNDAÇÃO
A Fundação de Pesquisa e Desenvolvimento Tecnológico Rio Verde tem como objetivo apoiar o desenvolvimento sustentável, ambiental e soluções tecnológicas para o agronegócio.
Entidade sem fins lucrativos, com participação aberta a todos os segmentos do agronegócio, meio ambiente e desenvolvimento humano.
A Fundação Rio Verde está localizada na Rodovia da Mudança – MT449, Km 08 em Lucas do Rio Verde – MT.




